找回密码
 注册
搜索
查看: 545|回复: 1

[新闻] 周末今晨发生了什么 |CBNweekly

[复制链接]
发表于 2017-9-11 12:54 AM | 显示全部楼层 |阅读模式


周末今晨发生了什么 |CBNweekly 

 2017-09-11 一财君 第一财经周刊


 

境内虚拟货币交易平台可能被关闭

 

一手监管,一手发展,两手都硬。

 

据《中国证券报》报道,“接近监管的人士”透露,包括比特币在内的虚拟货币交易平台将被关闭。这意味着比特币与人民币之间的大额兑换将变得困难。此前,基于虚拟货币的ICO融资被央行等政府部门宣布违法,此后就传出中国监管机构将继续加强对比特币的监管力度。不过这一消息尚未获得官方确认,交易平台也未收到通知。值得注意的是,虚拟货币交易与区块链技术将被分开对待,前者将被严格限制,后者将被大力扶持。

 


 

HTC或将被Google收购


据台湾《工商时报》报道,HTC或有意将公司部分或整体出售给Google。2011年开始HTC经营状况急转直下,近5年该公司市值已经蒸发近75%,目前市值不足18亿美元。为摆脱手机领域不佳表现,近年来HTC开始转向虚拟现实设备开发。IDC的数据显示,今年第一季度HTC在VR/AR领域占有率为8.4%。HTC在硬件上的能力可能会吸引Google。不过这一消息尚未得到双方的确认。

 


众安保险即将在港IPO

 

据路透社报道,众安保险的首次公开募股(IPO)已获得香港交易所批准,规模达10亿美元,最快将于9月11日启动投资者路演。众安保险是国内第一家互联网保险公司,主要股东包括蚂蚁金服、腾讯和平安保险。基于用户数据的保险产品和风控体系是其特点。这也是第一家在港交所上市的技术金融股。

 

 

Facebook投入10亿美元开发原创视频

 

人人都在拍视频。

 

据《华尔街日报》9月8日报道,Facebook计划花费10亿美元开发原创节目,该投资将远高于Facebook此前在视频内容方面的支出。就在上个月初,Facebook宣布将推出电视节目平台Watch,大约有40部节目将被收录在第一批播放名单,但暂时只有部分美国用户可以观看。目前Facebook有20亿月度用户,但用户增长已经出现放缓趋势,所以公司正在寻找新的收入增长途径,而Facebook此前也表明视频业务将是未来推动公司的第一力量。另一方面,苹果也在上个月宣布已经拨出10亿美元用于未来一年原创视频的采购和制作。随着近两年越来越多技术公司开始进军原创视频业务,这个市场的竞争现在变得尤为激烈。

 


优客工场向东南亚扩张

 

据TechCrunch报道,作为共享办公公司Wework在中国的竞争对手,优客工场要效仿Wework向东南亚扩张自己的业务版图。它参与了印尼共享办公创业公司Rework 共300万美元的Pre-A轮融资。目前,优客工场估值15亿美元,已在中国的22座城市拥有88个联合办公场所。优客工场首席执行官毛大庆表示,东南亚的经济和技术市场很有前景。同Rework联合,优客工场希望更好地和之前已收购新加坡联合办公公司Spacemob的Wework抗衡。

 

 

一条C轮融资后估值3.5亿美元

 

微信时代最知名的原创视频品牌一条获得了新一轮融资。其实如今,一条已经不只做视频,电商成为其主要盈利方式。旗下的子品牌也已经扩展到服装、建筑、饮食、杂货等领域。强大的用户影响力让它成为许多希望打上“生活方式”标签、目标用户是中产阶级的品牌的重要营销渠道。

 


 

苹果试图阻止西部数据掌控东芝芯片业务

 

据路透社报道,苹果正试图阻止西部数据获得东芝芯片业务的控制权,并声称如果西部数据收购东芝芯片,将不再购买其产品。苹果对这项收购敏感的原因,是因为iPhone同时使用东芝和西部数据的闪存芯片,如果西数完全收购东芝该业务,苹果可能会失去议价能力。除了大棒,苹果也拿出了胡萝卜——据报道,如果西部数据放弃独立收购东芝芯片,继续做个小股东,苹果将向包括西部数据在内的财团提供约4.6亿美元,帮助它们收购东芝芯片业务。

 

 

欧洲四国要让硅谷公司多缴税


据路透社9月10日报道,法国、德国、意大利和西班牙四国的财政部长已向欧盟递交联名信,抗议亚马逊、Google等硅谷巨头在欧洲缴税过低,并敦促欧盟参照欧盟公司的缴税水平,以营业额作为标准向这些跨国公司征税。此前,法国政府曾责令Google补缴一笔高达13亿美元的高额税款,但法院认为Google在法国没有常设机构,因而无须支付,之后法国便积极地推动税制改革。看样子,现在它得到了其他欧盟国家的支持。欧洲与硅谷在税费上的纷争继续升级了。

 



马斯克展示SpaceX未来的宇航员服


日常穿一套也可以?


太空技术公司SpaceX的CEO马斯克在Instagram上发出了一张SpaceX的宇航员服装图片。看上去,这比一般的宇航服更修身,这一设计由SpaceX自己完成 ,而一般的航天任务都由专业公司设计宇航服。8月,马斯克在社交网络上透露SpaceX将于明年发射载人航空飞行器。这将是民间公司第一次尝试把人送上太空。



 

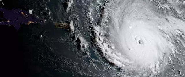
艾玛飓风登陆美国,600万人撤离

 

最强飓风逼出最大规模撤离。

 

有记录以来大西洋最强大的飓风之一艾玛在当地时间9月10日登陆美国佛罗里达州。在此之前,艾玛已经造成加勒比地区至少22人死亡。佛罗里达州近1/4的人口——600万人被迫撤离。这也是该州史上最大的撤离行动。预计此次飓风将造成约2000亿美元的损失。


发表于 2017-9-11 01:28 AM | 显示全部楼层
回复 鲜花 鸡蛋

使用道具 举报

您需要登录后才可以回帖 登录 | 注册

本版积分规则

手机版|小黑屋|www.hutong9.net

GMT-5, 2025-11-3 11:40 AM , Processed in 0.042212 second(s), 18 queries .

Powered by Discuz! X3.5

© 2001-2024 Discuz! Team.

快速回复 返回顶部 返回列表